| General data | Classifications | List of species | Local names | Back to home page |
| Quercus boyntonii | |
| Author | Beadle 1901 Biltmore Bot. Stud. 1: 47 1901 |
| Synonyms | stellata var. boyntonii (Beadle) Sarg. 1918 |
| Local names | Boynton’s sand post oak |
| Range | Eastern Texas, Alabama ; 0-200 m; |
| Growth habit | rarely exceeding 2 m; sometimes shrub to 6 m; rhizomatous; |
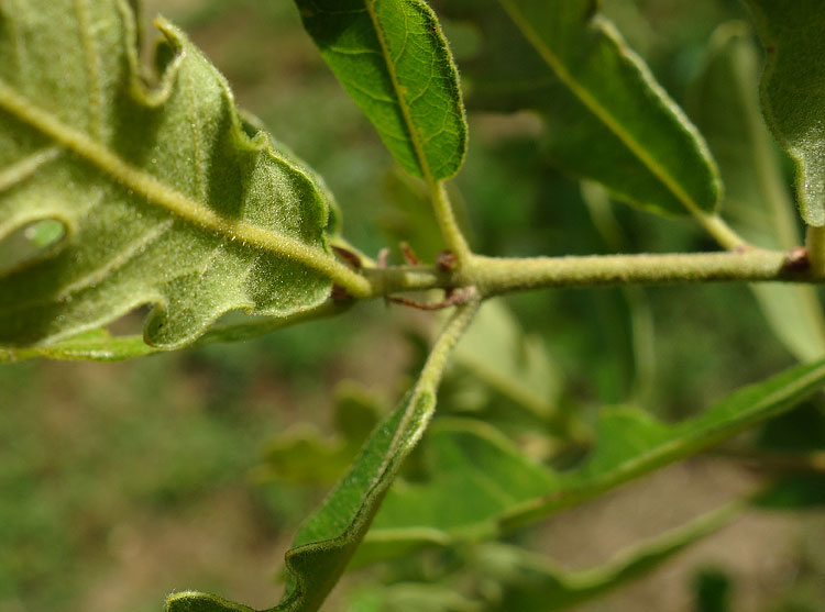
| Leaves | 5-10 x 2-6 cm; oboval to oblanceolate; base cuneate, apex rounded; margins revolute with 3 (-5) shallow lobes near apex; dark green above; silvery or yellowish-grey tomentose beneath; 6-8 pairs of secondary veins; petiole 5-10 mm, slightly pubescent; |
| Flowers | spring; |
| Fruits | acorn 1-1.7 cm, ovoid; light brown, glabrous; singly or in pairs; cup covering 1/2 or 1/3 of nut; cup with tomentose appressed scales; |
|
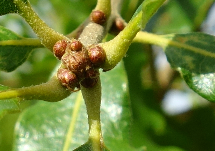
Bark, twigs and |
bark brown, scaly; twigs light brown, densely tomentose; buds brown, ovoid, slightly pubescent, 2-4 mm; |
| Hardiness zone, habitat | prefers sandy, well drained soils; |
| Miscellaneous | -- Sub-genus Quercus, Section
Quercus, Series Stellatae; -- Related to Q.stellata; -- Rare. Threatened (IUCN Red List Category : CR) |
| Subspecies and varieties |
are known some hybrids between this species and Q.margaretta; |
| Pictures |
More pictures HERE
|